Category : Search result: UK travellers Jamaica


Trump's Childhood Home in Queens Hits Property Market

The modest Queens residence where Donald Trump spent his formative years is now on the market, offering a rare glimpse into the childhood of the controversial political figure before his White House ambitions.

Jamaica demands UK slavery reparations

Jamaican government officials confront UK Foreign Office delegation with formal reparations claim for centuries of enslaved labour, marking historic escalation in Caribbean compensation demands.

UK Warns Britons in Jamaica as Hurricane Threatens

The British government has issued an urgent travel warning for Jamaica as Tropical Storm Beryl approaches, with the Foreign Office advising travellers to monitor weather updates closely.

Tourist moans about food during hurricane

A British tourist's extraordinary complaint video from hurricane-ravaged Jamaica has sparked disbelief after she moaned about resort food while a deadly storm battered the island.

Hurricane Melissa LIVE: Flight Chaos Over Jamaica

Exclusive live flight tracking reveals aircraft navigating dangerously close to Hurricane Melissa's destructive path near Jamaica. Real-time updates on the Category 4 storm's movement and aviation disruptions.

Starmer appoints Yvette Cooper as Home Secretary

In a major cabinet reshuffle, Prime Minister Keir Starmer appoints Yvette Cooper as Home Secretary while facing diplomatic challenges with Caribbean nations over climate reparations.

Jamaica considers cutting ties with British monarchy

Jamaica is actively considering removing the British monarch as head of state following a meeting with UK Foreign Office officials, signalling a potential major shift in Caribbean-UK relations.

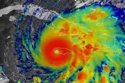
Hurricane Melissa: Category 4 storm hits Jamaica

Hurricane Melissa, a powerful Category 4 storm, has made devastating landfall in Jamaica, unleashing destructive winds, torrential rains, and dangerous storm surges across the island nation.

Hurricane Melissa: Category 4 storm hits Jamaica

Jamaica faces catastrophic conditions as Hurricane Melissa, a powerful Category 4 storm, makes direct landfall with 150mph winds, torrential rain, and life-threatening storm surge. Emergency services on high alert.

Tropical Storm Ian Threatens Caribbean With Hurricane Force

Tropical Storm Ian rapidly intensifies as it barrels toward the Caribbean, prompting hurricane warnings for Jamaica and storm alerts across the region. Meteorologists warn of potential catastrophic flooding and damaging winds.

Hurricane Melissa Threatens Jamaica - Latest Updates

Hurricane Melissa gathers strength in the Caribbean with Jamaica directly in its path. Latest tracking maps show potential for significant damage as residents prepare for heavy rains and dangerous winds.

Hurricane Beryl: Category 5 storm threatens Jamaica

Hurricane Beryl has rapidly intensified into a potentially catastrophic Category 5 storm, setting unprecedented records as it barrels toward Jamaica and the Cayman Islands with life-threatening winds and storm surge.

Royal Navy ship sent to Jamaica amid unrest

HMS Trent abruptly changes course from military drills to provide support in Jamaica amid growing unrest, raising questions about Foreign Office contingency planning.

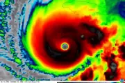
Hurricane Melissa: Category Five storm threatens Jamaica

Jamaica braces for catastrophic impact as Hurricane Melissa intensifies to Category Five, with life-threatening winds and storm surge expected to devastate the island nation. Emergency measures activated as residents rush to secure shelter.

Hurricane Melissa: Category 5 Storm Hits Jamaica

Hurricane Melissa, a devastating Category 5 storm, has made landfall in Jamaica with winds exceeding 160mph, triggering mass evacuations and threatening catastrophic damage across the Caribbean.

Page 1 of 4