Entertainment
Meghan Markle Praised by Homeless Women in Melbourne During Controversial Tour
The Duchess of Sussex served lunch at a women's shelter in Melbourne, receiving compliments on her appearance, while critics question the couple's 'money-making' tour motives.
Politics
Spanish PM's Wife Faces Corruption Charges Amid Global Tensions
Spanish Prime Minister's wife charged with corruption after a two-year probe, as global stories include antisemitism accusations, Iran war fears, and Gaza airstrikes.
Sports
England vs Spain: Lionesses Host World Champions in Crucial World Cup Qualifier
England's Lionesses face Spain in a high-stakes 2027 Women's World Cup qualifier at Wembley, reigniting their rivalry after recent finals. Both teams are level on points, with only one automatic spot available.
Crime
Killer Boasted 'I Stabbed Him Fully' After Murdering Student Over £50 Drug Deal
Dino Donaldson, 21, convicted for murdering accounting student Anojan Gnaneswaran at Strawberry Hill station. The fatal stabbing followed a dispute over a £50 MDMA transaction.
Health
Weather
Tornadoes and Storms Damage Plains and Midwest Communities
Severe storms with tornadoes have caused widespread damage from the Plains to the Midwest, with injuries reported and homes destroyed. Forecasters warn of more dangerous weather ahead.
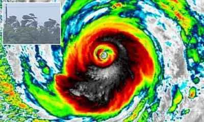
Super Typhoon Sinlaku Threatens US Pacific Territories
Category 5 Super Typhoon Sinlaku, with winds up to 173 mph, barrels toward Northern Mariana Islands and Guam, stranding thousands and risking severe infrastructure damage.
Horse Rescued from Fast-Moving Illinois Floodwaters
A horse was dramatically rescued after being swept away by fast-moving floodwaters in Illinois, with emergency crews working tirelessly to save the animal from perilous conditions.
Major Earthquake Hits Nevada Town of Fallon, Causing Damage
A significant earthquake has struck the town of Fallon in Nevada, resulting in extensive structural damage and emergency responses. Authorities are assessing the situation and urging residents to stay safe.
Nevada Earthquake: Magnitude 5.7 Causes Moderate Damage
A magnitude 5.7 earthquake struck rural Nevada, causing strong shaking and moderate damage in nearby towns like Fallon, with reports of shattered glass and toppled items.
Tech
Get Updates
Subscribe to our newsletter to receive the latest updates in your inbox!
We hate spammers and never send spam
Environment
Monday Sports Challenge: Football, Cricket & Rugby Questions
Start your week with our Monday sports quiz featuring 100 questions about British football, cricket, and rugby. How well do you know these popular UK sports?



