KPop Demon Hunters Gets Oscar Eligibility Boost
Netflix's global phenomenon 'KPop Demon Hunters' qualifies for Oscar consideration in the animated feature category. Discover if this record-breaking film can secure the prestigious award.
Netflix's global phenomenon 'KPop Demon Hunters' qualifies for Oscar consideration in the animated feature category. Discover if this record-breaking film can secure the prestigious award.
The Academy Awards will introduce a new Oscar for achievement in casting for the 98th ceremony in 2026, hosted by Conan O'Brien. Discover the full list of potential contenders.
An A330 pilot explains why ignoring aeroplane mode, especially during high-precision landings, poses a real safety risk due to collective electronic interference.
Vietnam faces devastating floods and powerful winds as Typhoon Kalmaegi makes landfall, forcing mass evacuations and threatening widespread damage to infrastructure.
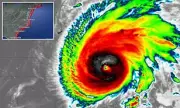
Climate scientists call for new Category 6 hurricane classification as warming oceans create unprecedented super-storms that exceed current scale limits.
Climate scientists call for new Category 6 hurricane classification as warming oceans create unprecedented 'super-storms' that overwhelm current measurement scales.
Major Hurricane Melissa intensifies to Category 4 storm, threatening Jamaica, Haiti and Cuba with life-threatening winds and catastrophic flooding as Caribbean nations issue emergency warnings.
Category 4 Hurricane Melissa leaves path of devastation across Caribbean, with Bermuda facing catastrophic damage while Jamaica begins massive cleanup operation after deadly storm surge.
Hurricane Beryl intensifies into earliest Category 5 Atlantic hurricane on record, threatening Jamaica with life-threatening winds and storm surge. Emergency preparations underway across Caribbean.
Hurricane Melissa intensifies to Category 4 with devastating 140mph winds, causing catastrophic flooding across Caribbean islands as millions brace for impact.
Hurricane Beryl leaves trail of destruction across southeast Caribbean, claiming at least six lives as catastrophic winds and floods devastate islands. Jamaica braces for direct hit while storm maintains fearsome Category 5 status.
Meteorologists issue urgent warnings as Hurricane Melissa strengthens towards Category 3, posing severe threats to Jamaica and Florida with destructive winds and torrential rainfall.
Category 5 Hurricane Beryl barrels toward Jamaica with devastating 165mph winds, leaving a trail of destruction across the Caribbean and threatening catastrophic damage.
Hurricane Beryl, the earliest Category 5 storm ever recorded in the Atlantic, has left a trail of destruction across the Caribbean with Jamaica and eastern Cuba facing imminent danger as it continues its devastating path.
Hurricane Melissa strengthens to Category 4, causing extensive damage across Jamaica before taking aim at Cuba. Emergency evacuations underway as meteorologists warn of catastrophic conditions.
Hurricane Melissa intensifies as it approaches Jamaica, with meteorologists warning of potential direct hits on Cuba and devastating impacts across the Caribbean region. Latest updates on storm trajectory and emergency preparations.
Hurricane Melissa, a powerful Category 4 storm, has made devastating landfall in Jamaica, unleashing destructive winds, torrential rains, and dangerous storm surges across the island nation.
Jamaica faces catastrophic conditions as Hurricane Melissa, a powerful Category 4 storm, makes direct landfall with 150mph winds, torrential rain, and life-threatening storm surge. Emergency services on high alert.
Meteorologists issue urgent warnings as Hurricane Melissa intensifies to Category 5 status, with new maps revealing the storm's projected path and potential impact zones across the Atlantic basin.
Tropical Storm Ian rapidly intensifies as it barrels toward the Caribbean, prompting hurricane warnings for Jamaica and storm alerts across the region. Meteorologists warn of potential catastrophic flooding and damaging winds.
Hurricane Melissa strengthens to Category 4, threatening Jamaica and Florida with catastrophic winds and life-threatening storm surge. Latest tracking maps and emergency preparations revealed.
Hurricane Beryl has rapidly intensified into a potentially catastrophic Category 5 storm, setting unprecedented records as it barrels toward Jamaica and the Cayman Islands with life-threatening winds and storm surge.
Jamaica braces for catastrophic impact as Hurricane Melissa intensifies to Category Five, with life-threatening winds and storm surge expected to devastate the island nation. Emergency measures activated as residents rush to secure shelter.
Hurricane Beryl has rapidly intensified into an unprecedented Category 5 storm, setting alarming records as it barrels toward Jamaica with life-threatening winds and storm surge.
Hurricane Melissa, a devastating Category 5 storm, has made landfall in Jamaica with winds exceeding 160mph, triggering mass evacuations and threatening catastrophic damage across the Caribbean.
Hurricane Beryl leaves trail of destruction across southeast Caribbean, with at least seven confirmed deaths. Jamaica braces for direct hit as catastrophic Category 5 storm approaches.
Hurricane Melissa has rapidly intensified into a catastrophic Category 5 storm, setting its sights on Jamaica with potentially devastating winds and storm surge. Latest tracking shows the hurricane could make direct landfall, prompting urgent evacuation o
Jamaica faces catastrophic conditions as Hurricane Melissa, now a formidable Category 5 storm, makes direct impact with 160mph winds and life-threatening storm surge.
Powerful Hurricane Melissa intensifies to Category 4 status, heading directly toward Jamaica with devastating winds and catastrophic storm surge. Latest tracking and emergency preparations.
Mandatory evacuations are underway across Florida's Gulf Coast as Hurricane Melissa intensifies to Category 3, with life-threatening storm surges and destructive winds predicted to make landfall within hours.