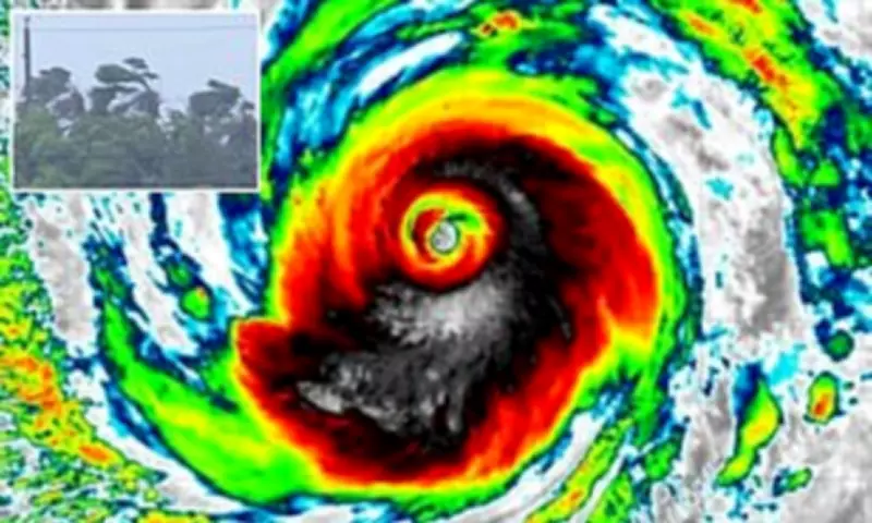
Super Typhoon Sinlaku Intensifies to Category 5, Targets US Pacific Territories
A formidable Category 5 super typhoon is currently advancing toward American territories in the Pacific Ocean, posing a significant threat of enduring damage to both local residents and stranded tourists. Known as Super Typhoon Sinlaku, this powerful cyclone has escalated to become the most intense tropical storm of the Pacific season, boasting sustained winds reaching an alarming 173 miles per hour.
Immediate Impact on Northern Mariana Islands and Guam
The typhoon is on a direct collision course with the Northern Mariana Islands, encompassing Saipan, Tinian, and Rota, as well as the island of Guam. Meteorologists anticipate landfall by Tuesday evening, forecasting potential blackouts, extensive flooding, and widespread wind damage. Already, nearly 2,000 tourists across these US territories find themselves stranded as the storm approaches.
Typhoons, hurricanes, and cyclones are fundamentally the same type of storm, differing only in their geographical formation zones. Hurricanes develop in the tropical Atlantic and Eastern Pacific, while typhoons like Sinlaku originate in the West Pacific. Cyclones form south of the equator near regions such as Australia and Madagascar.
Category 5 Classification and Historical Context
A Category 5 storm represents the highest classification for tropical cyclones, characterized by destructive winds exceeding 157 mph. The last Category 5 typhoon to menace US territory was Typhoon Yutu in 2018, which devastated the Northern Mariana Islands, inflicting economic harm and damage that required years of recovery efforts.
Super Typhoon Sinlaku underwent a rapid intensification, transforming from a tropical cyclone to a Category 5 behemoth in approximately two days. The National Weather Service has issued stern warnings, indicating that Sinlaku will deliver destructive winds, heavy rainfall, flooding, thunderstorms, and coastal impacts to the Marianas Islands through Wednesday.
Governance and Emergency Response
Guam, an unincorporated US territory, is home to over 170,000 people who are US citizens but lack voting rights in federal elections. The governor's office confirmed on Tuesday that all flights to and from Guam have been cancelled due to the storm, trapping around 1,500 visitors. Additionally, the US military presence on Guam, including Andersen Air Force Base and Naval Base Guam, has been instructed to shelter in place.
President Trump approved emergency disaster declarations for both Guam and the Northern Mariana Islands on Sunday, authorizing FEMA and other agencies to provide essential supplies and support for recovery operations.
Extended Forecast and Aftermath Concerns
Super Typhoon Sinlaku is projected to maintain its strength for several more days before weakening over cooler waters or land. The immediate impact, featuring high winds and torrential rain, is expected to persist for about 24 hours. However, the aftermath, including power outages and flood cleanup, could disrupt daily life on the islands for weeks or even months.
Meteorologist Landon Aydlett from the National Weather Service highlighted that the storm has entered a significant slowdown, prolonging the damaging conditions for hours or days. He warned residents of the Northern Mariana Islands to prepare for a tumultuous night, with loud conditions and substantial damage anticipated.
Tourism and Demographic Details
Another 400 tourists are estimated to be trapped in the US commonwealth of the Northern Mariana Islands, which has a population of approximately 47,000, primarily concentrated on Saipan. The Mariana Islands form a 14-island archipelago in the western Pacific, with tourism centered on World War II history, diving, and beaches. English serves as the official language, and individuals born there are US citizens, though they also cannot vote. The islands possess greater self-governing autonomy compared to other US commonwealths due to a special agreement with Congress from 1975.
Military Significance and Broader Seasonal Context
Guam hosts a critical US military hub in the Pacific, covering about one-third of the island. Andersen Air Force Base supports long-range bombers like the B-52s and B-2s, capable of carrying nuclear weapons, while Naval Base Guam houses attack submarines and provides logistical support for the US Pacific Fleet.
Typhoon season in the Pacific spans most of the year, from mid-February to early December. In contrast, the Atlantic hurricane season commences on June 1. AccuWeather has cautioned that up to five tropical cyclones could directly impact the US mainland in 2026, underscoring the ongoing relevance of storm preparedness and response strategies.



