Hurricane Melissa: Florida and Jamaica Emergency Warnings
Meteorologists issue urgent warnings as Hurricane Melissa strengthens towards Category 3, posing severe threats to Jamaica and Florida with destructive winds and torrential rainfall.
Meteorologists issue urgent warnings as Hurricane Melissa strengthens towards Category 3, posing severe threats to Jamaica and Florida with destructive winds and torrential rainfall.
Labour leader Sir Keir Starmer's Caribbean visit sparks political storm as critics question timing during contentious deportation flights debate.
Dancehall superstar Sean Paul shares frightening footage as Hurricane Beryl devastates Jamaica, revealing severe flooding and destruction at his property while urging prayers for his homeland.
Jamaica's ambitious bid to recruit Liverpool's Trent Alexander-Arnold for their Copa America campaign has been dramatically abandoned after Hurricane Beryl devastated the island nation, forcing a complete shift in priorities.
Category 5 Hurricane Beryl barrels toward Jamaica with devastating 165mph winds, leaving a trail of destruction across the Caribbean and threatening catastrophic damage.
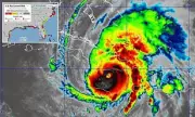
Hurricane Melissa intensifies to Category 4 storm, prompting urgent warnings across Jamaica and Cuba as meteorologists predict catastrophic conditions.
A romantic Jamaican wedding ceremony turned into a nightmare for British couple Melissa and her partner as Hurricane Melissa's devastating winds tore through their special day, forcing them to evacuate to safety.
The powerful Hurricane Melissa intensifies as it approaches Jamaica, prompting urgent travel warnings for British tourists. Foreign Office issues critical safety advice as storm conditions worsen.
Hurricane Donald's devastating path through Jamaica leaves unprecedented destruction, with rescue teams battling to reach isolated communities as death toll rises.
Hurricane Melissa leaves trail of destruction across Jamaica and Cuba with confirmed fatalities, widespread flooding, and catastrophic damage to infrastructure as rescue operations intensify.
Hurricane Beryl, the earliest Category 5 storm ever recorded in the Atlantic, has left a trail of destruction across the Caribbean with Jamaica and eastern Cuba facing imminent danger as it continues its devastating path.
Hurricane Melissa strengthens to Category 4, causing extensive damage across Jamaica before taking aim at Cuba. Emergency evacuations underway as meteorologists warn of catastrophic conditions.
Hannah Grubbs' dream Jamaican vacation became a fight for survival as Hurricane Melissa made devastating landfall, trapping tourists in catastrophic conditions.
Hurricane Melissa intensifies as it approaches Jamaica, with meteorologists warning of potential direct hits on Cuba and devastating impacts across the Caribbean region. Latest updates on storm trajectory and emergency preparations.
The Foreign Office issues urgent travel warning as Hurricane Beryl threatens Jamaica, with evacuation flights being arranged for stranded British tourists.
Stunning visual documentation shows Hurricane Melissa's devastating impact across Jamaica, with flooded communities, damaged infrastructure and heroic rescue efforts underway.
Marine scientists warn of a massive sargassum seaweed belt stretching 5000 miles across the Atlantic, posing severe threats to Jamaica's tourism and marine ecosystems as it approaches Caribbean shores.
The Jamaican government has activated emergency protocols as a powerful hurricane threatens the island, with urgent warnings issued to British nationals and tourists.
The modest Queens residence where Donald Trump spent his formative years is now on the market, offering a rare glimpse into the childhood of the controversial political figure before his White House ambitions.
Jamaican government officials confront UK Foreign Office delegation with formal reparations claim for centuries of enslaved labour, marking historic escalation in Caribbean compensation demands.
UK government updates travel advice for Jamaica as violent crime surges - essential safety guidance for British visitors to popular Caribbean destination.
The Foreign Office dispatches crisis experts to Jamaica ahead of catastrophic Hurricane Beryl's arrival, coordinating evacuation plans and emergency response measures.
The British government has issued an urgent travel warning for Jamaica as Tropical Storm Beryl approaches, with the Foreign Office advising travellers to monitor weather updates closely.
A British tourist's extraordinary complaint video from hurricane-ravaged Jamaica has sparked disbelief after she moaned about resort food while a deadly storm battered the island.
Exclusive report reveals how Donald Trump blocked emergency military assistance to Jamaica as Hurricane Melissa approaches, raising questions about disaster response protocols.
Exclusive live flight tracking reveals aircraft navigating dangerously close to Hurricane Melissa's destructive path near Jamaica. Real-time updates on the Category 4 storm's movement and aviation disruptions.
The Foreign Office faces mounting pressure as it defends controversial deportation flights to Jamaica while human rights groups highlight serious safety concerns for returnees.
Major Hurricane Melissa makes devastating landfall in Jamaica, bringing catastrophic winds, life-threatening storm surge, and widespread destruction across the Caribbean island.
Jamaica faces devastation as Hurricane Beryl makes direct landfall with 145mph winds, triggering mass evacuations and emergency response across the island.
Newly formed Hurricane Melissa poses significant threat to Jamaica as meteorological experts release compelling animation showing the storm's projected trajectory across the Caribbean.