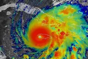
Typhoon Kalmaegi batters Vietnam, forces mass evacuations
Vietnam faces devastating floods and powerful winds as Typhoon Kalmaegi makes landfall, forcing mass evacuations and threatening widespread damage to infrastructure.
Vietnam faces devastating floods and powerful winds as Typhoon Kalmaegi makes landfall, forcing mass evacuations and threatening widespread damage to infrastructure.
Severe tropical storm Kalmaegi unleashes chaos across Southeast Asia, causing deadly flooding in Cebu and forcing mass evacuations in Vietnam as airports suspend operations.
Hurricane Beryl, an unprecedented early-season Category 4 monster, wreaks havoc across the southeast Caribbean with life-threatening winds and storm surges, setting alarming meteorological records.
Severe tropical storm Typhoon Kalmaegi barrels toward northern Philippines, triggering urgent evacuation warnings and raising fears of devastating flash floods and destructive winds across vulnerable regions.
Powerful Typhoon Kalmaegi unleashes torrential rains and devastating floods across northern Philippines, forcing mass evacuations and causing widespread destruction to homes and infrastructure.
Severe tropical storm Typhoon Kalmaegi unleashes torrential rains across northern Philippines, triggering widespread flooding and forcing thousands to evacuate their homes.
Severe tropical cyclone Tino unleashes devastating floods and destructive winds across the Philippines and Queensland, Australia, forcing mass evacuations and causing widespread damage as emergency services battle the dual-front crisis.
The UK Met Office has issued critical weather warnings for the Caribbean as a powerful storm system threatens Jamaica with potential hurricane-force winds and torrential rainfall.
Major Hurricane Melissa intensifies to Category 4 storm, threatening Jamaica, Haiti and Cuba with life-threatening winds and catastrophic flooding as Caribbean nations issue emergency warnings.
Meteorologists issue urgent warnings as Hurricane Beryl strengthens towards Category 5, targeting Jamaica with devastating winds and storm surges. Emergency preparations intensify across the Caribbean.
Exclusive: The Foreign Office scrambles rescue flights as Hurricane Beryl devastates islands, with British nationals stranded without power or communications in the catastrophic aftermath.
Hurricane Melissa intensifies to Category 4 storm, threatening Jamaica and Cuba with life-threatening winds and storm surge as Caribbean nations face emergency evacuations.
Hurricane Beryl wreaks havoc across the southeastern Caribbean, claiming at least six lives and causing widespread destruction in Grenada, St Vincent, and Venezuela before targeting Jamaica with potentially devastating force.
Hurricane Beryl intensifies into earliest Category 5 Atlantic hurricane on record, threatening Jamaica with life-threatening winds and storm surge. Emergency preparations underway across Caribbean.
In a remarkable emergency operation, TUI evacuated nearly 400 UK holidaymakers from Jamaica as Hurricane Beryl approached, with rescue flights arriving safely in Manchester.
Newly emerged footage reveals catastrophic damage across Jamaica as Hurricane Melissa unleashes torrential rains and devastating winds, leaving communities in ruins.
Hurricane Beryl leaves trail of destruction across southeast Caribbean, claiming at least six lives as catastrophic winds and floods devastate islands. Jamaica braces for direct hit while storm maintains fearsome Category 5 status.
Powerful Hurricane Melissa batters Jamaica with catastrophic flooding and destructive winds, causing widespread damage to infrastructure and forcing mass evacuations as the storm continues its path through the Caribbean.
Powerful Hurricane Melissa intensifies towards Caribbean, triggering emergency preparations across Jamaica and Cuba as meteorologists warn of potential catastrophic damage.
Meteorologists issue urgent warnings as Hurricane Melissa strengthens towards Category 3, posing severe threats to Jamaica and Florida with destructive winds and torrential rainfall.
Dancehall superstar Sean Paul shares frightening footage as Hurricane Beryl devastates Jamaica, revealing severe flooding and destruction at his property while urging prayers for his homeland.
Jamaica's ambitious bid to recruit Liverpool's Trent Alexander-Arnold for their Copa America campaign has been dramatically abandoned after Hurricane Beryl devastated the island nation, forcing a complete shift in priorities.
Category 5 Hurricane Beryl barrels toward Jamaica with devastating 165mph winds, leaving a trail of destruction across the Caribbean and threatening catastrophic damage.
Hurricane Beryl, the earliest Category 5 storm ever recorded in the Atlantic, has left a trail of destruction across the Caribbean with Jamaica and eastern Cuba facing imminent danger as it continues its devastating path.
Hurricane Melissa strengthens to Category 4, causing extensive damage across Jamaica before taking aim at Cuba. Emergency evacuations underway as meteorologists warn of catastrophic conditions.
Hurricane Melissa intensifies as it approaches Jamaica, with meteorologists warning of potential direct hits on Cuba and devastating impacts across the Caribbean region. Latest updates on storm trajectory and emergency preparations.
The Foreign Office issues urgent travel warning as Hurricane Beryl threatens Jamaica, with evacuation flights being arranged for stranded British tourists.
The Foreign Office dispatches crisis experts to Jamaica ahead of catastrophic Hurricane Beryl's arrival, coordinating evacuation plans and emergency response measures.
The British government has issued an urgent travel warning for Jamaica as Tropical Storm Beryl approaches, with the Foreign Office advising travellers to monitor weather updates closely.
Major Hurricane Melissa makes devastating landfall in Jamaica, bringing catastrophic winds, life-threatening storm surge, and widespread destruction across the Caribbean island.