Category : Search result: Hurricane Ian


Hurricane Melissa Threatens Jamaica - Latest Updates

Hurricane Melissa gathers strength in the Caribbean with Jamaica directly in its path. Latest tracking maps show potential for significant damage as residents prepare for heavy rains and dangerous winds.

Hurricane Beryl: Category 5 storm threatens Jamaica

Hurricane Beryl has rapidly intensified into a potentially catastrophic Category 5 storm, setting unprecedented records as it barrels toward Jamaica and the Cayman Islands with life-threatening winds and storm surge.

Hurricane Melissa: Category Five storm threatens Jamaica

Jamaica braces for catastrophic impact as Hurricane Melissa intensifies to Category Five, with life-threatening winds and storm surge expected to devastate the island nation. Emergency measures activated as residents rush to secure shelter.

Hurricane Melissa: Category 5 Storm Hits Jamaica

Hurricane Melissa, a devastating Category 5 storm, has made landfall in Jamaica with winds exceeding 160mph, triggering mass evacuations and threatening catastrophic damage across the Caribbean.

Hurricane Melissa: Category 5 Storm Targets Jamaica

Hurricane Melissa has rapidly intensified into a catastrophic Category 5 storm, setting its sights on Jamaica with potentially devastating winds and storm surge. Latest tracking shows the hurricane could make direct landfall, prompting urgent evacuation o

Jamaica braces for Hurricane Melissa direct hit

Jamaica faces an imminent and dangerous confrontation with Hurricane Melissa as the powerful storm approaches the Caribbean island, prompting urgent preparations and growing concerns about potential devastation.

Hurricane Melissa: Deadly Storm Hits Jamaica

Category 4 Hurricane Melissa batters Jamaica with 150mph winds, claiming lives and causing catastrophic damage. Latest updates on the devastating storm's path and impact.

Hurricane Melissa Threatens US East Coast: Prepare Now

As Hurricane Melissa barrels toward the US East Coast, authorities issue urgent warnings for residents to prepare emergency kits and review evacuation routes. The powerful storm threatens widespread disruption.

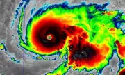
Hurricane Melissa Satellite Images Show Caribbean Fury

Newly released satellite imagery captures Hurricane Melissa's dramatic intensification as the dangerous storm system churns through the Caribbean Sea, prompting urgent weather alerts across the region.

Hurricane Melissa: Category 4 Storm Targets Jamaica

Powerful Hurricane Melissa intensifies to Category 4 status, heading directly toward Jamaica with devastating winds and catastrophic storm surge. Latest tracking and emergency preparations.

Hurricane Beryl: Category 5 Storm Threatens Caribbean

Hurricane Beryl intensifies to Category 5, threatening Jamaica and Haiti with life-threatening winds and storm surge. The National Hurricane Centre issues urgent warnings as the dangerous storm continues its destructive path through the Caribbean.

Hurricane Beryl ravages Caribbean nations

Hurricane Beryl's catastrophic path through the Caribbean leaves trail of destruction across Jamaica, Haiti, and Dominican Republic, prompting urgent international response efforts.

Tropical Storm Melissa Threatens US East Coast

Meteorologists issue urgent warnings as Tropical Storm Melissa gains strength in the Caribbean, posing significant threat to US Eastern Seaboard with potential for devastating flooding and destructive winds.

Category 5 Hurricane Melissa Targets US Coast

Hurricane Melissa has rapidly intensified into a catastrophic Category 5 storm, setting a dangerous course toward the United States coastline. Meteorologists warn of unprecedented wind speeds and life-threatening storm surges as evacuation orders are issu

Page 1 of 4